Cernica_sat Tânganu,la granita cu Fundeni-Frunzaresti, in apropiere Raul Dambovita, teren intravilan, la 50m de statia de autobuz R451 cu capat de linie la Metrou Republica Bucuresti si statie feroviara Halta Tanganu cu ruta Oltenita-Bucuresti Titan Sud (care, de asemenea, se afla langa statia de metrou Republica).
Poate fi achizitionat si integral sau mai multe loturi.
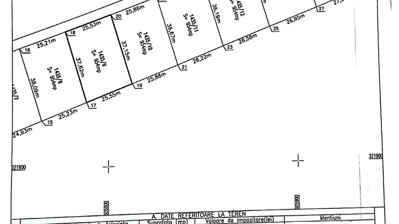
Terenul are o suprafata totala masurata 21.664mp, parcelat in 20 loturi, din care 19 loturi cu suprafata de 954mp, fiecare, 1 lot 966mp, iar 2.572mp au fost atribuiti pentru drumul de acces. Deschiderile la calea de acces sunt cuprinse intre min. 22ml-max. 29ml pe o lungime a terenurilor cuprinse intre min 32ml-max.41.5ml.
Comision agentie 1000 Euro.
Vanzare teren intravilan Cernica_Tânganu, lot 954mp
Romania, Ilfov, Cernica, Tanganu
Ultima actualizare 4 săptămâni în urmă
ID #57252
1 - 1 de 8
22000 Euro €
Tranzacţie: Vinde
Vanzare teren intravilan Cernica_Tânganu, lot 954mp
Romania, Ilfov, Cernica, Tanganu,
Modificat 4 săptămâni în urmă





Draga utilizator,






